Visualizar Edital

Visualizar Edital

Código 104449
Justiça JUSTIÇA ESTADUAL Vara Setor das Execuções Fiscais
Cidade/UF MONTE MOR/SP Disponibilizar em: 03/10/2025
Primeiro Leilão 12/11/2025 14:00:00 Último Leilão 09/12/2025 14:00:00
Link Leilão https://www.rmcleiloes.com.br/oferta/lote-n-45-da-quadra-b-jd-colina-ii-monte-mor-sp-4364919 Situação Publicado
Categorias
Modalidade Eletrônico
Fotos de Bem(ns)
Anexo
 20251003161646_EDITAL_PDF.pdf
Cadastrado em: 03/10/2025 16:16:30
Visualizações: 23
Conteúdo

EDITAL DE 1ª E 2ª HASTA e de INTIMAÇÃO da Executada: SAID JORGE INCORPORAÇÕES E NEGÓCIOS IMOBILIÁRIOS LTDA., CNPJ nº 51.877.934/0001-47 e a quem mais interessar possa.

 

O Dr. LUIS CARLOS MARTINS, MM. Juiz de Direito do Setor das Execuções Fiscais de Monte Mor/SP, com fulcro nos art. 882/903 do C.P.C. e Prov. CSM nº 1625/09 do TJ/SP, através do Leiloeiro Oficial CARLOS J. R. RIBEIRO, JUCESP 873, gestor da RMC LEILÕES  (www.rmcleiloes.com.br), FAZ SABER aos que este Edital virem ou dele conhecimento tiverem, que pelo D. Juízo tramita a ação de Execução Fiscal, nº 1500134-11.2017.8.26.0372,onde são partes: Prefeitura Municipal de Monte Mor X Said Jorge Incorporações e Negócios Imobiliários Ltda., onde foi designada a praça do bem descrito abaixo, de acordo com as regras expostas a seguir:

 

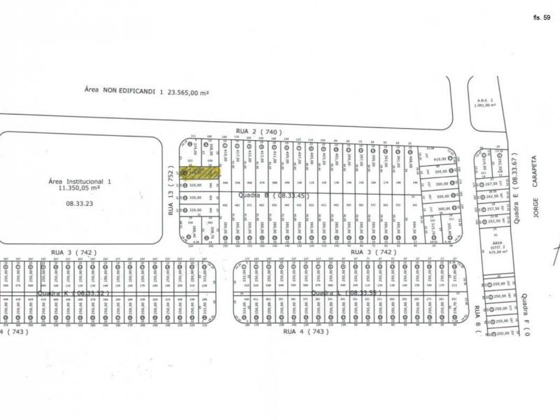
LEILÃO 716 - Lote de terreno nº 45, da Quadra “B”, do Jardim Colina II, no bairro Rezende, cidade de Monte Mor/SP, com área de 320,00m2, medindo 10,00ms de frente para a rua 13, igual metragem nos fundos, onde divide com o lote n.1, por 32,00ms da frente aos fundos, de ambos os lados, dividindo do lado direito, de quem da rua olha para o imóvel, com o lote 44 e, do lado esquerdo, no mesmo sentido, com os lotes nºs 46 e 47, o qual dista 13,00 metros do início da curva que forma esquina com a Rua 2, na quadra completada pelas Ruas 3 e 8.

Cadastro Municipal: 08.33.45.0.578.01.000.4.14.

Constatação Oficial de Justiça (Fls. 57 dos autos do processo): Lote localizado na Rua 13, nº 27, Jardim Colina II, Monte Mor/SP.

Trata-se de lote vago/vazio, sem benfeitorias, em 13/03/2024.

Matrícula nº 35.910 do 1º Cartório de Registro de Imóveis de Capivari/SP.

 

O bem será vendido em caráter “AD CORPUS”, no estado em que se encontra. A descrição detalhada está disponível no site www.rmcleiloes.com.br, devendo o interessado verificar a existência de eventuais possuidores do bem alienado.

 

DA PRAÇA 1ª Praça terá início no dia 12/11/2025, às 14:00h e se encerrará dia 17/11/2025, às 14:00h, onde somente serão aceitos lances iguais ou superiores ao valor da avaliação; não havendo lance igual ou superior ao valor da avaliação, seguir-se-á, sem interrupção, a 2ª Praça, que terá início no dia 17/11/2025, às 14:00h e se encerrará em 09/12/2025, às 14:00h, onde serão aceitos lances independentemente do valor da avaliação, desde que não seja inferior a 60% (sessenta por cento) do valor da avaliação, nos termos do § único, do artigo 891, do CPC.

 

DA AVALIAÇÃO: R$50.000,00 (cinquenta mil reais) em 13/03/2024, que será corrigido até a data de abertura da hasta pública, pela tabela do TJ/SP.

 

ÔNUS – não há ônus constante da matrícula.

 

DÉBITO EXEQUENDO: R$1.211,89 (um mil, duzentos e onze reais e oitenta e nove centavos) em 14/06/2019.

 

 

DOS DÉBITOS – Eventuais ônus sobre o imóvel e todas as providências e despesas relativas à transferência e registro do bem, tais como desocupação, imissão na posse, ITBI, foro, alvarás, certidões, escrituras, registros e outras despesas oriundas de construção ou reformas não averbados no órgão competente, dentre outras, correrão por conta do arrematante.

 

Ficam ressalvadas as exceções previstas no artigo 130, “caput” e §único do CTN, cujos débitos ficam sub-rogados no preço da arrematação.

 

COMO PARTICIPAR – O interessado em participar da alienação judicial eletrônica deverá se cadastrar previamente no site www.rmcleiloes.com.br.

Durante a hasta pública, os lances deverão ser oferecidos diretamente ao sistema do Leiloeiro, de modo a viabilizar a preservação do tempo real das ofertas.

 

DO CONDUTOR DO LEILÃO – O leilão será conduzido pelo Leiloeiro Oficial, Carlos J. R. Ribeiro, matriculado na JUCESP sob o nº 873, endereço: Rua Doutor Antônio de Castro Prado, nº 422 – Taquaral – Campinas/SP, e-mail:contato@rmcleiloes.com.br, fone 19 3237 7700.

 

DO PAGAMENTO – O arrematante deverá efetuar o pagamento do preço do bem arrematado, no prazo de até 24 horas após o encerramento do leilão, através de depósito judicial em favor do Juízo competente, sob as penas da lei.

Decorrido o prazo sem que arrematante tenha realizado o depósito do preço ou do sinal, tal informação será encaminhada ao MM. Juízo competente para a aplicação das medidas legais cabíveis.

 

PAGAMENTO A PRAZO: Até o início da 1ª Praça, serão aceitas propostas de valor de 100% da avaliação atualizada. Até o início da 2ª Praça, serão aceitas propostas de valor mínimo ao arbitrado pelo Juízo. O depósito do sinal será igual ou superior a 25% do valor do lance e deverá ser depositado no prazo de até 24 (vinte e quatro) horas a contar do encerramento do leilão, através de guia de depósito judicial e o restante em até 30 parcelas, com correção monetária mensal, garantido por hipoteca do próprio bem, conforme artigos 891, § único e 895, § 1º, §2º, §7º e §8º, do CPC.

 

DA COMISSÃO - O arrematante pagará ao LEILOEIRO OFICIAL, a título de comissão, o valor correspondente a 5% (cinco por cento) sobre o preço de arrematação do imóvel, em até 24 horas a contar do encerramento do leilão, através da seção ‘Minha Conta’, do site RMC Leilões, cujo valor não estará incluído no valor lance e não será devolvido em nenhuma hipótese, salvo as situações legalmente previstas, deduzindo-se as despesas incorridas, conforme Provimento CSM nº 1625/2009.

 

REMIÇÃO DA EXECUÇÃO E/OU ACORDO: Havendo a publicação do presente edital, ocorrendo pagamento do débito ou alienação do bem, ou sendo firmado acordo entre as partes, estas deverão arcar com a comissão previamente fixada ao Leiloeiro, nos termos do Decreto 21.981/32.

 

RECURSOS PENDENTES: Não consta dos autos nenhum recurso pendente.

Todas as regras e condições do leilão estão disponíveis no Portal www.rmcleiloes.com.br

 

Consigne-se que ficam os EXECUTADOS, coproprietários, credores de qualquer natureza, possuidores a qualquer título e demais interessados, INTIMADOS das designações supra, através deste EDITAL, nos termos do art. 274, § único, art. 887, § 2º, §3º e § 5º e art. 889, § único, todos do Código de Processo Civil, caso não sejam localizados para a intimação pessoal.

 

Monte Mor/SP, 11 de setembro de 2025.

 

__________________________________

Dr. Luis Carlos Martins - Juiz de Direito