| Código | 112126 | |||
|---|---|---|---|---|
| Justiça | Tribunal de Justiça do Estado de Goiás | Vara | 3ª Vara Cível | |
| Cidade/UF | RIO VERDE/GO | Disponibilizar em: | 02/04/2026 | |
| Primeiro Leilão | 25/06/2026 10:00:00 | Último Leilão | 30/06/2026 10:00:00 | |
| Link Leilão | https://www.vecchileiloes.com.br/leiloes/702 | Situação | Publicado | |
| Categorias | Modalidade | Eletrônico | ||
| Fotos de Bem(ns) |
![]() |
|||
| Anexo |
|
|||
| Cadastrado em: | 02/04/2026 15:54:43 | |||
| Visualizações: | 10 | |||
| Conteúdo |
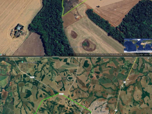
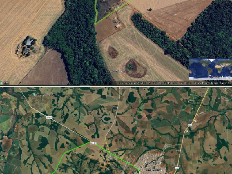
BEM EM LEILÃO: 1/22 (um vinte e dois avos) do imóvel matriculado sob o nº 62.876 do CRI de Rio Verde/GO. DESCRIÇÃO CONFORME AVALIAÇÃO: Área Total: 1/22 avos de 2,12075 há – 963,97 m². 1/22 avos de um imóvel que possui área em mata nativa e área aproveitável misturadas, com uma construção em parte deste imóvel e outra em andamento em outra parte, mas que não abrangem a totalidade da área, o que possibilita a avaliação de área sem benfeitorias. O local onde se encontra o imóvel conta com vias não pavimentadas, cobertura de celular, sem tratamento de água e esgoto, sem iluminação, mas com fácil acesso ao anel viário. Em razão de o imóvel estar localizado bem próximo da zona urbana, com fácil acesso à via asfaltada (aproximadamente 1,5km do anel viário com acesso bem em frente à Tecnoshow) aplico fator de valorização 3 (tabela no documento de avaliação). A presente avaliação foi realizada com grau de segurança I uma vez que o número de amostra atingiu duas e, levando em consideração a metodologia utilizada, e os resultados encontrados na sua aplicação AVALIO O IMÓVEL em R$ 183.000,00 (cento e oitenta e três mil reais), correspondente à 1/22 avos de 2,12075 há sem benfeitorias. Valor da Avaliação Atualizada: R$ 187.285,48 (cento e oitenta e sete mil, duzentos e oitenta e cinco reais e quarenta e oito centavos). MATRÍCULA Nº 62.876 - DESCRIÇÃO CONFORME CRI: IMÓVEL: Fazenda São Tomaz Abóbora e Retiro, neste município de Rio Verde-Go. "Uma quinhão de terras, denominado Quinhão 01, com a área total de 2,12075 hectares de campos, sem benfeitorias, constante da segunda parte, ora denominado Gleba "A", com as seguintes divisas e confrontações: "Começa no marco M-879, descrito em planta, com coordenadas Este 497.349,61m e Norte 8.034,568,17m; deste segue pela margem esquerda do Córrego Cabeceira Vertente acima, acompanhando todas as suas curvas, no azimute de 358°19'03" e distância de 166,94m, se projetado em reta, até o marco M, sendo; deste, segue por cerca de arame, confrontando com terras da Segunda Igreja Presbiteriana de Rio Verde, com o seguinte azimute e distância; 73º21'26" e 168,82m até o vértice M-0881; deste; segue à direita por cerca de arame, confrontando com sucessores de Oscarina Gomes da Silva no azimute de 136°29'01" e distância de 61,04m, até o vértice M-882; deste, segue à direita confrontando com o quinhão-02 de Rafael Ferreira Carvalho, Raquel Naiara Ferreira Carvalho, Adalberto Ferreira Carvalho e Leandra dos Santos Ferreira, no azimute de 229°21 '04" e distância de 262,12m, até o marco M-879, ponto inicial da descrição deste perímetro ou atuais confrontantes". ÔNUS DA CRI: AV-02: RESERVA LEGAL. R-07: PENHORA. Processo nº 5484226-69.2019.8.09.0137 - Requerente: SC1 Fundo de Investimento em Direitos Creditórios não Padronizados. |
|||